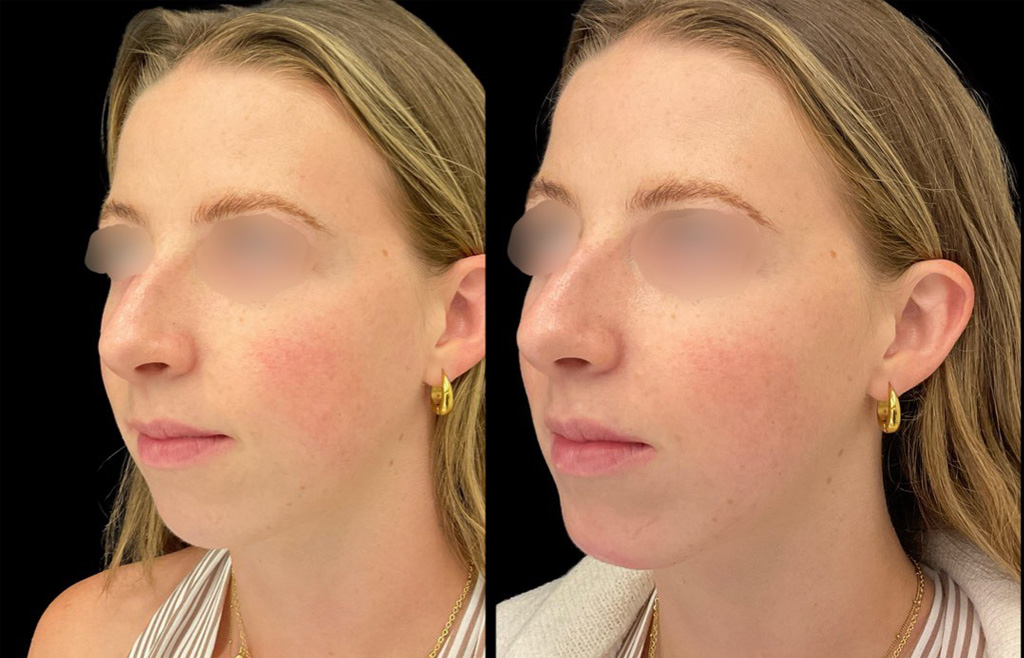
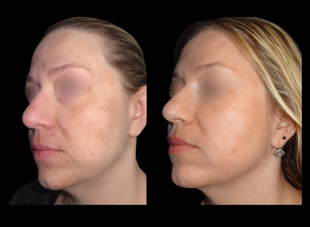
Non-Surgical Skin Care Before & After Photos

Connect With Us!

Never miss out on the latest offerings, transformations, and behind-the-scenes at Bitar Cosmetic Surgery Institute.